Bạn có thể chuyển sang phiên bản mobile rút gọn của Tri thức trực tuyến nếu mạng chậm. Đóng

Znews

  • Tất cả
  • Bài viết
  • Video

Chuyên mục:

Thời gian:

57 kết quả phù hợp

ảnh hồng ngoại

Samsung lon den co nao? hinh anh

Samsung lớn đến cỡ nào?

0

Phần lớn mọi người đều chỉ biết đến hãng điện tử Hàn Quốc qua những sản phẩm cầm tay như smartphone, tablet, laptop..., nhưng ít ai ngờ rằng cái tên Samsung còn lớn hơn thế nhiều.

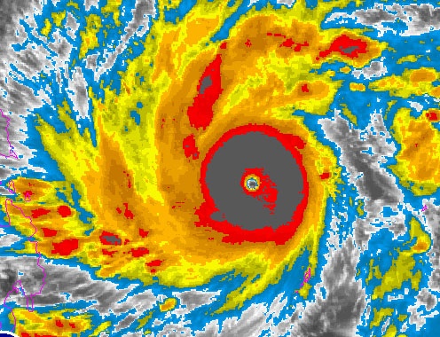
Theo chan bao Than Sam qua anh ve tinh hinh anh

Theo chân bão Thần Sấm qua ảnh vệ tinh

0

Bão Thần Sấm (bão số 2) sáng nay còn cách quần đảo Hoàng Sa của Việt Nam khoảng 460 km về phía đông - đông nam, với sức gió mạnh nhất gần tâm bão giật cấp 16.

'Con mat ma quai' khong lo tren troi hinh anh

'Con mắt ma quái' khổng lồ trên trời

0

Phần giữa của một thiên hà xoắn trong vũ trụ có hình dạng giống hệt một đôi mắt ma quái và đó là một trong những cảnh tượng thiên văn ấn tượng trong tuần.

Dang ngu, may bay lao thang xuong nha hinh anh

Đang ngủ, máy bay lao thẳng xuống nhà

0

David Ventura và gia đình đang chìm trong giấc ngủ khi một âm thanh khủng khiếp như tiếng bom rền vang lên khiến anh thức giấc.

Tomahawk - 'Su gia chien tranh' kinh hoang cua My hinh anh

Tomahawk - 'Sứ giả chiến tranh' kinh hoàng của Mỹ

0

Trong các cuộc chiến gần đây nhằm vào Iraq, Afghanistan hay Libya, trước tiên Mỹ bao giờ cũng phát động tấn công bằng tên lửa hành trình Tomahawk từ các tàu khu trục và tàu ngầm nguyên tử cách xa...

Mat robot giup canh sat nhin xuyen tuong hinh anh

Mắt robot giúp cảnh sát nhìn xuyên tường

0

Thiết bị chuyên dụng được đeo giống với tai phone sẽ giúp cảnh sát sở hữu khả năng nhìn xuyên tường, nhằm xác định vị trí kẻ tình nghi cũng như hạn chế thương vong trong quá trình làm nhiệm vụ.