Mối tình lận đận của kẻ sát hại con người tình
“Em xấu hổ với bố mẹ và gia đình. Em là thằng trai tân nhưng lại bỏ nhà, cãi lời bố mẹ để đi theo một người đàn bà đã có 2 con”, hung thủ giết bé 3 tuổi nói.
143 kết quả phù hợp
“Em xấu hổ với bố mẹ và gia đình. Em là thằng trai tân nhưng lại bỏ nhà, cãi lời bố mẹ để đi theo một người đàn bà đã có 2 con”, hung thủ giết bé 3 tuổi nói.
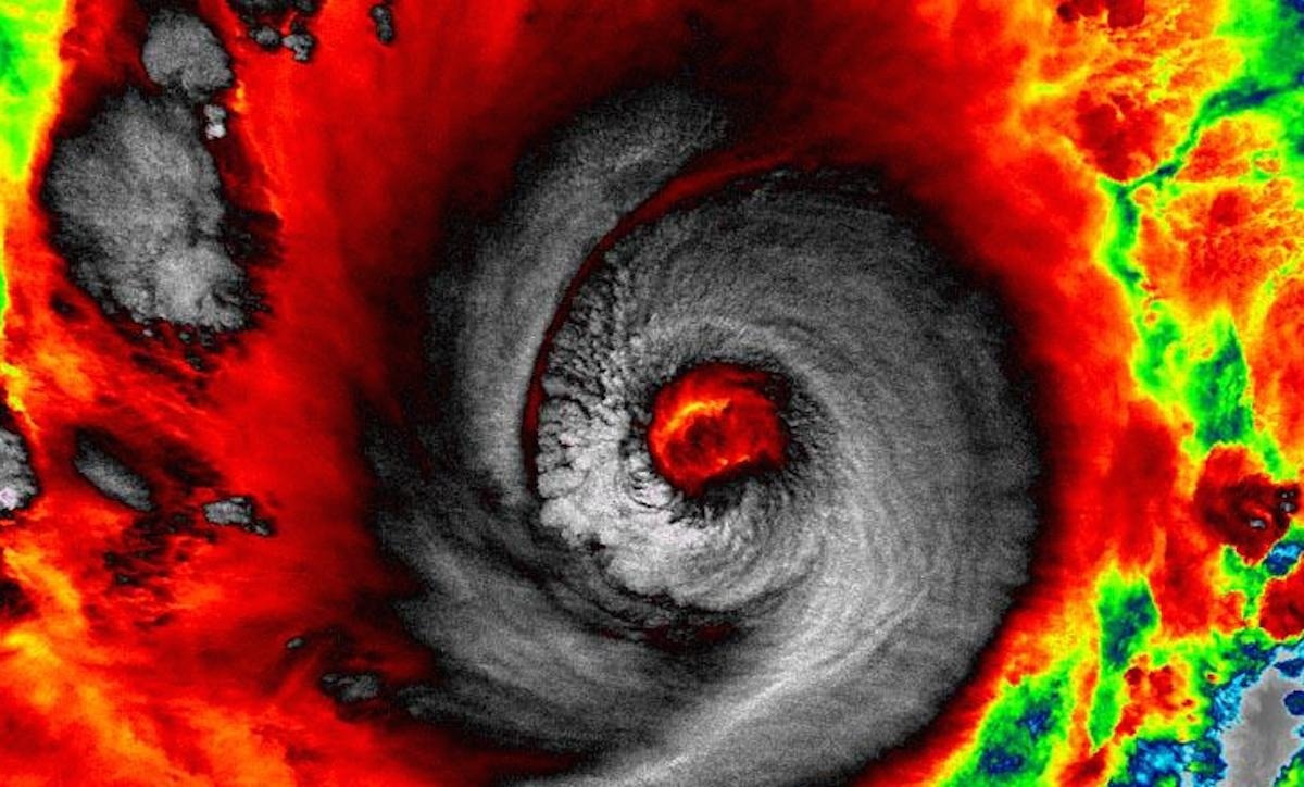
Bão Hagupit cấp 16 đang tiếp tục uy hiếp Biển Đông khi sức gió đạt 190 km/h và tiến về phía Philippines. Cơn bão này được đánh giá có sự tương đồng hiếm thấy với siêu bão Haiyan.
Theo lãnh đạo cơ quan khí tượng quốc gia, mùa đông 2014 sẽ bắt đầu vào nửa đầu tháng 12. Dù ấm hơn so với mức trung bình, vùng núi cao như Sa Pa vẫn có tuyết và sương muối.
Trong khi đó, nữ diễn viên hài nổi tiếng cho biết chị đã khóc rất nhiều vì bị đối xử không giống với con người.
Từ đêm 4/10, miền Bắc sẽ đón đợt không khí lạnh với cường độ yếu, trời có mưa và nhiệt độ giảm. Đêm và sáng se lạnh.
Cụ Triêm không kiêng cữ cái gì chỉ trừ rượu là cụ từ nhỏ tới giờ không uống một ly. Ai mời rượu bây giờ thì cụ nói "mời ông chén mật ong thay rượu còn được".
Một diện mạo đô thị mới ở phía Nam Đà Nẵng đang lớn dậy từng ngày, vươn hình hài, tạo dáng trên một vùng đất rộng lớn với cảnh quan sông nước hữu tình.
Nhiều khán giả chia sẻ, chỉ thích xem những cảnh có "bé Heo" và bà nội đóng, còn lại đều muốn chuyển sang kênh khác.
Số lượng các cơn bão được dự báo đổ bộ đất liền Việt Nam ít hơn song sẽ là những cơn bão mạnh và phức tạp; đồng thời nắng nóng cũng xuất hiện sớm so với các năm khác.
Bên cạnh số tiền bán đĩa, bạn bè cũn quyên góp, ủng hộ để "Mắt nai" thực hiện ước mơ giúp đỡ bà con vừa trải qua 2 cơn bão dữ cách đây vài tháng.
"Lũ cuốn phăng hết rồi chú ạ. Còn bao gạo cuối cùng cũng bị ướt cả rồi, giờ không biết lấy gì ăn", cụ Nguyễn Hữu Thanh (94 tuổi, trú thôn Phước Yên, huyện Đại Lộc, Quảng Nam) nói khi cơn lũ đi qua.
2 con báo đốm cùng phối hợp để giết chết một con trăn khổng lồ ở khu bảo tồn Inyati Game ở Nam Phi.
Doanh nhân Thủy Tiên vừa có chuyến đi thiện nguyện cùng Hội Phật giáo Việt Nam để chia sẻ khó khăn cùng đồng bào ở khúc ruột miền Trung.
Sau 2 cơn bão dữ, một cơn "bão giá" các mặt hàng tiêu dùng lại ập xuống đầu những người dân miền Trung.
Cơ quan chức năng tỉnh Lâm Đồng vừa ra văn bản thông báo tới người dân trên địa bàn khuyến cáo nâng cao cảnh giác với báo hoa mai.
Người dân thôn Nghĩa Hiệp đang sống trong sự sợ hãi vì hàng loạt gia cầm bị tàn sát. Dấu chân thú lớn, nhỏ dày đặc trên những vườn rau, sân nhà.
Trong tháng 9 có khả năng xuất hiện 2-3 cơn bão hoặc áp thấp nhiệt đới hoạt động trên khu vực Biển Đông, ảnh hưởng đến Việt Nam khoảng 1-2 cơn.
Sau 2 cơn bão số 5, 6 liên tiếp, trên biển Đông lại xuất hiện một vùng áp thấp nhiệt đới mới.
Đến hôm qua (9/8), giá các mặt hàng thủy hải sản, rau củ tại các chợ trên địa bàn Hà Nội vẫn tiếp tục đứng ở mức cao mặc mưa bão đã ngớt.
Mưa lớn, gió giật mạnh trong 2 cơn bão số 5 và số 6 liên tiếp nhiều ngày qua khiến một hòn đảo trên Vịnh Hạ Long (tỉnh Quảng Ninh) bị sạt lở nghiêm trọng.