Ảnh ngày mới tới Mỹ của nghệ sĩ Chí Tài
Hình ảnh nghệ sĩ hài ngày mới sang Mỹ và hoạt động trong nhóm nhạc được ông Chí Thiện chia sẻ trên trang cá nhân.
603 kết quả phù hợp
Hình ảnh nghệ sĩ hài ngày mới sang Mỹ và hoạt động trong nhóm nhạc được ông Chí Thiện chia sẻ trên trang cá nhân.
Trưa 15/12 (giờ địa phương), vợ và anh trai nghệ sĩ Chí Tài đã đến nhà quàn nhận linh cữu.
Sau khi hoàn thành các thủ tục tại sân bay, phía nhà quàn đã tiếp nhận và đưa thi hài của nghệ sĩ Chí Tài về để bảo quản, chuẩn bị cho lễ tang.
Vào khoảng 8h05 (giờ địa phương), chuyến bay đưa thi thể nghệ sĩ Chí Tài đã hạ cánh ở sân bay Los Angeles (Mỹ).
Lễ tang của danh hài Chí Tài được tổ chức tại nhà thờ vào ngày 18/12. Sau đó, linh cữu của ông được hỏa táng tại nghĩa trang ở Mỹ.
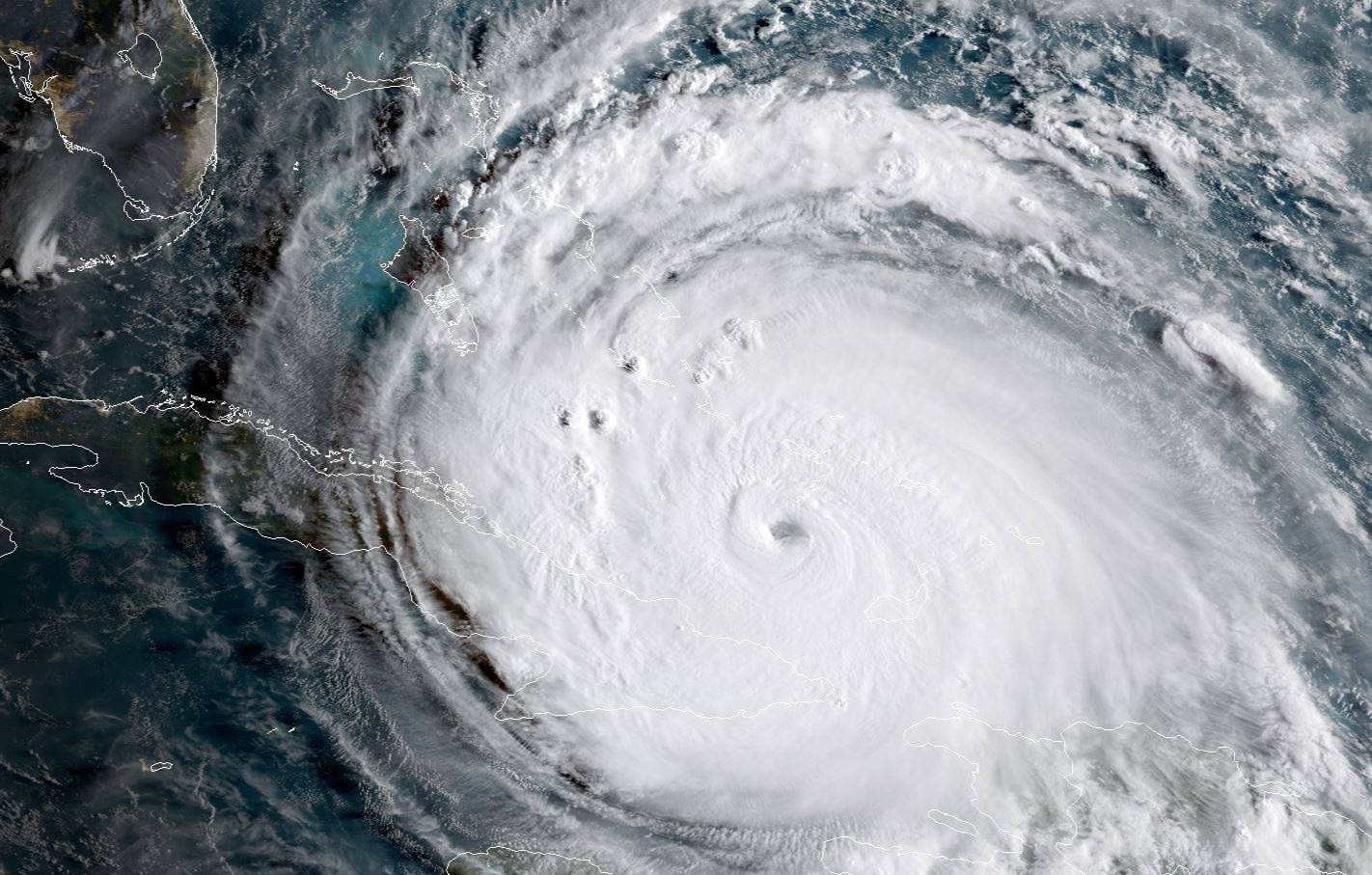
Sa mạc Sahara nằm ở Bắc Phi được coi là nguồn gốc sâu xa dẫn đến sự hình thành của những siêu bão khủng khiếp quần thảo khu vực Đại Tây Dương.
Chiến dịch “We Care” mang đến thay đổi tích cực tại đại lý Toyota Việt Nam trên toàn quốc, giúp khách hàng có trải nghiệm tốt từ lúc mua xe tới khi bảo dưỡng, sửa chữa.
Sau hàng loạt thiên tai dồn dập, người dân miền Trung cảm động với nghĩa cử tốt đẹp và ấm áp của đồng bào cả nước, trong đó có doanh nghiệp như Tập đoàn SCG.
Huda đánh dấu năm thứ 30 cống hiến cho mảnh đất miền Trung bằng chuỗi hoạt động ý nghĩa.
Cơ quan khí tượng các nước thường đề xuất loại bỏ tên cơn bão gây thiệt hại nghiêm trọng để tránh gợi lại đau buồn khi cái tên đó được quay vòng trở lại.
Tháng cuối năm, các tỉnh Trung Bộ và Nam Bộ có thể hứng chịu thêm 1-2 cơn bão. Miền Trung được dự báo tiếp tục xuất hiện các đợt mưa lớn.
Bão Linfa đổ bộ hồi tháng 10 đã gây mưa lớn, lũ lụt và sạt lở nghiêm trọng tại miền Trung. Tổng cục Khí tượng Thủy văn vừa đề xuất Tổ chức khí tượng Thế giới thay thế tên bão này.
Quét dọc bờ biển miền Trung trước khi đi vào đất liền Hà Tĩnh - Quảng Bình, bão số 13 gây ra gió mạnh và mưa lớn khiến 18 người bị thương, hơn 1.500 ngôi nhà bị ảnh hưởng.
Vợ mất sau khi sinh được 2 tháng, thương con nhỏ sinh non, thiệt thòi vì không còn mẹ, người cha lặn lội đi khắp nơi xin sữa về nuôi con.
Chiều 15/11, bão Vamco đổ bộ vào khu vực nam Hà Tĩnh - bắc Quảng Bình khiến hàng loạt cây xanh bật gốc, nhiều nhà dân và trường học tốc mái.
Nhằm hạn chế thiệt hại về người và tài sản, chính quyền Đà Nẵng đã sơ tán hàng nghìn hộ dân, gia cố nhà cửa trước khi bão số 13 đổ bộ.
Thực hiện khuyến cáo về việc không ra đường sau 12h ngày 14/11, người dân ở TP Huế đội mưa đi chợ để tích trữ thực phẩm cho 2 ngày tới, trước khi bão số 13 đổ bộ.
Trước khi đi vào vùng biển Quảng Bình - Quảng Ngãi, bão số 13 liên tục mạnh lên và đang duy trì sức gió mạnh nhất cấp 14, giật cấp 17.
Khi đến vùng biển Quảng Bình - Quảng Nam, bão có sức gió mạnh cấp 9-10, giật cấp 12. Hình thái này sẽ đổ bộ đất liền từ Hà Tĩnh đến Thừa Thiên - Huế ngày 15/11.
Sau khi vào Biển Đông, bão số 13 có thể đi chếch lên phía bắc, hướng vào các tỉnh Bắc Trung Bộ hoặc di chuyển theo hướng tây rồi đổ bộ vào Đà Nẵng - Quảng Ngãi.