![]() |
|
Ảnh vệ tinh thể hiện hướng gió của 2 cơn bão Goni (trái) và Atsani (phải). Goni và Atsani xuất hiện khá gần nhau. Bão Goni dự kiến đổ bộ vào khu vực lân cận Đài Loan và Philippines trong tuần này còn bão Atsani hướng về phía Nhật Bản. Theo dự báo, sức gió ở gần tâm bão đạt 240 km/h, Mashable đưa tin. |
![]() |
|
Ảnh chụp từ vệ tinh cho thấy bão Atsani lớn và dữ dội nhưng nằm xa đất liền hơn so với bão Goni. |
![]() |
|
Theo dự báo, tâm bão Goni sẽ tới gần Đài Loan vào ngày 23/8. Nó đổ bộ chỉ 2 tuần sau khi Soudelor, cơn bão nhiệt đới mạnh nhất năm 2015 quét qua hòn đảo này rồi đổ bộ vào Trung Quốc đại lục. Trong khi đó, bão Atsani đang ngày càng mạnh lên nhưng chưa thể xác định chắc chắn hướng đi của nó. |
![]() |
|
Bão Atsani nhìn từ trạm vũ trụ quốc tế ISS. |
![]() |
|
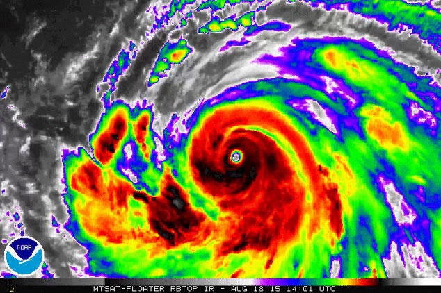
Vệ tinh thời tiết của Cục quản lý đại dương và khí quyển quốc gia Mỹ (NOAA) chụp hình bão Atsani trong ngày 18/8. |
![]() |
|
Vệ tinh thời tiết Suomi của Cơ quan Hàng không vũ trụ Mỹ (NASA) chụp hình bão Goni. |






