![]() |
| Tiếng chuông cuối của Big Ben: Người dân London ghi lại tiếng chuông cuối cùng của tháp đồng hồ Big Ben trước khi tháp chuông nổi tiếng của Anh im lặng trong 4 năm tới để tu sửa. Ảnh: AP. |
![]() |
| Nhật thực ở Mỹ: Tổng thống Mỹ Donald Trump, Đệ nhất phu nhân Melania Trump và con trai Barron ngắm nhật thực từ ban công của Nhà Trắng ở Washington, Mỹ, ngày 21/8. Hàng triệu người Mỹ đã theo dõi hiện tượng nhật thực toàn phần xảy ra lần đầu tiên sau gần 1 thế kỷ. Ảnh: AFP/Getty. |
![]() |
| Bò bay: Một con bò đực được cần cẩu nâng lên nóc của một tòa nhà để chuẩn bị cho lễ hội Hồi giáo thường niên Eid al-Adha ở Karachi, Pakistan, ngày 20/8. Chủ nhân giữ các gia súc như bò và dê trên nóc tòa nhà 4 tầng trong 1 năm trước khi hiến sinh. Người Hồi giáo tin rằng họ sẽ được ban phước nhiều hơn nếu nuôi gia súc trong 1 hoặc 2 năm trước khi hiến sinh các con vật này. Ảnh: AFP/Getty. |
![]() |
| Koala trắng rời túi mẹ: Con gấu túi koala trắng hiếm có bám trên lưng mẹ ở Sở thú Australia, ngày 23/8. Con koala non này được sinh hồi tháng 1 và chỉ mới rời túi mẹ. Ảnh: Splash. |
![]() |
| Cậu bé Sudan: Một cậu bé tị nạn ở Nam Sudan đưa mắt nhìn ra ngoài từ túp lều tại trại tị nạn Imvepi ở Arua, miền bắc Uganda, ngày 22/8. Ảnh: Reuters. |
![]() |
| Cái ôm cảm động: Viên cảnh sát ôm một cậu bé và thân nhân của cậu tại lễ tưởng niệm những nạn nhân ở Las Ramblas, Barcelona, Tây Ban Nha, ngày 21/8. Người cảnh sát này đã giúp đỡ họ trong cuộc tấn công khủng bố. Vụ tấn công bằng xe tải tại địa điểm du lịch nổi tiếng ở Barcelona vào ngày 17/8 đã khiến ít nhất 13 người thiệt mạng. Lực lượng Nhà nước Hồi giáo tự xưng (IS) đã nhận trách nhiệm về vụ việc. Ảnh: AP. |
![]() |
| Người khâm liệm: Một người làm công việc khâm liệm quỳ gối cạnh người mẫu trong cuộc thi về nghi lễ an táng tại triển lãm ngành công nghiệp mai táng 2017 ở Tokyo, Nhật Bản, ngày 24/8. Ảnh: Reuters. |
![]() |
| Vũ điệu tango: Stanislav Fursov và Ekaterina Simonova, đến từ Nga, tham dự vòng loại của giải World Tango Championship tại Buenos Aires, Argentina, ngày 23/8. Ảnh: AP. |
![]() |
| Bờ biển sau bão: Một chiếc thuyền ở Châu Hải, tỉnh Quảng Đông, Trung Quốc bị bão Hato đánh vào bờ, ngày 23/8. Cơn bão đã gây ra mưa lớn và lũ lụt ở các thành phố như Macau và Hong Kong. Ảnh: Zuma. |
![]() |
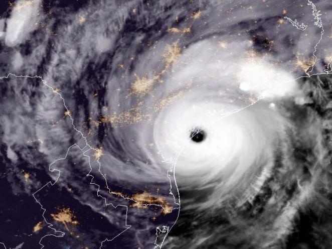
| Siêu bão thập kỷ: Bão Harvey đổ bộ vào bờ biển Texas, Mỹ nhìn từ Trạm Vũ trụ Quốc tế (ISS), ngày 24/8. Đây là cơn bão mạnh nhất mà Mỹ phải hứng chịu trong 12 năm qua kể từ siêu bão Charley năm 2004. Ảnh: NASA. |









