Bạn có thể chuyển sang phiên bản mobile rút gọn của Tri thức trực tuyến nếu mạng chậm. Đóng

Znews

  • Tất cả
  • Bài viết
  • Video

Chuyên mục:

Thời gian:

1.582 kết quả phù hợp

siêu bão

Sieu bao Surigae suy yeu nhanh hinh anh

Siêu bão Surigae suy yếu nhanh

0

Surigae đã suy yếu nhanh xuống cấp 15, giật cấp 17, không còn mang đặc tính của một siêu bão. Cơn bão này rất ít khả năng đi vào Biển Đông và hầu như không ảnh hưởng đến nước ta.

Ha Noi co the mua lon dem nay hinh anh

Hà Nội có thể mưa lớn đêm nay

0

Mưa lớn có thể quay lại Hà Nội và các tỉnh Bắc Bộ trong đêm nay. Người dân đề phòng các hiện tượng thời tiết cực đoan như lốc, sét, mưa đá và gió giật mạnh.

De phong sieu bao Surigae doi huong vao Bien Dong hinh anh

Đề phòng siêu bão Surigae đổi hướng vào Biển Đông

0

Trước diễn biến phức tạp của bão Surigae, các tỉnh, thành phố từ Quảng Ninh đến Cà Mau được yêu cầu lên phương án ứng phó với trường hợp siêu bão đổi hướng vào Biển Đông.

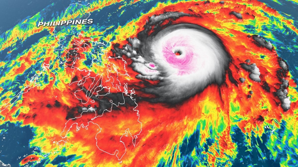
Sieu bao manh ky luc ap sat Philippines hinh anh

Siêu bão mạnh kỷ lục áp sát Philippines

0

Surigae, siêu bão cấp 5 đầu tiên trong năm 2021, đang áp sát vùng biển phía đông của Philippines. Đây là cơn bão mạnh nhất từng được ghi nhận trong tháng tư từ trước đến nay.

Ly Bang Bang gap go Ly Than hinh anh

Lý Băng Băng gặp gỡ Lý Thần

0

Hình ảnh Lý Thần và Lý Băng Băng ở bên nhau gây bàn tán. Trước đây, họ chưa từng hợp tác với nhau.

Su bien mat cua Pham Bang Bang, Ly Bang Bang hinh anh

Sự biến mất của Phạm Băng Băng, Lý Băng Băng

0

Trở lại màn ảnh, phim mới của Châu Tấn, Lưu Diệc Phi không thành công như kỳ vọng. Trong khi đó, sự nghiệp của Phạm Băng Băng chưa thể phục hồi sau án trốn thuế.

Tu khoa duoc tim kiem nhieu nhat 10 nam qua hinh anh

Từ khóa được tìm kiếm nhiều nhất 10 năm qua

0

Trong vòng 10 năm trở lại đây, từ khóa được tìm kiếm nhiều nhất phần lớn là những mất mát, trong đó có cái chết của diễn viên Paul Walker và ca sĩ Whitney Houston.

BST thoi trang cuoi nam cua Topshop Topman hinh anh

BST thời trang cuối năm của Topshop Topman

0

Với thiết kế tối giản nhưng cá tính, trang phục cuối năm của Topshop Topman giúp người dùng dễ dàng phối đồ và thể hiện phong cách riêng.

Xem thêm