Nhiều khu vực trên cả nước có mưa dông
Ngày 15/10, nhiều khu vực trên cả nước có mưa dông, riêng khu vực Tây Nguyên và Nam Bộ có nơi mưa trên 70 mm.
3.366 kết quả phù hợp
Ngày 15/10, nhiều khu vực trên cả nước có mưa dông, riêng khu vực Tây Nguyên và Nam Bộ có nơi mưa trên 70 mm.
Dự báo thời tiết 14/10, khu vực Bắc Bộ và Bắc Trung Bộ có mưa vài nơi, sáng sớm có sương mù nhẹ rải rác, ngày nắng.
Tổ chức Y tế Thế giới đánh giá nguy cơ lây lan Marburg là thấp ở cấp toàn cầu. Nguy cơ bệnh này xâm nhập vào TP.HCM là không cao.
Dự báo thời tiết ngày 13/10, phía nam Tây Nguyên và Nam Bộ chiều và tối có mưa, mưa vừa và rải rác có giông, cục bộ mưa to đến rất to.
Dự báo thời tiết 12/10, Bắc Bộ sáng sớm có sương mù, trưa chiều giảm mây trời nắng. Khu vực phía nam Tây Nguyên, Nam Bộ có mưa giông, cục bộ mưa to đến rất to.
Cơ quan khí tượng dự báo trong những ngày cuối tuần, TP.HCM và các tỉnh, thành Nam bộ tiếp tục có mưa vừa và rải rác có dông, cục bộ có nơi mưa to đến rất to.
Dự báo thời tiết 10/10, Hà Nội sáng sớm có nơi có sương mù, trưa chiều giảm mây trời nắng, nhiệt độ thấp nhất ban đêm 23 độ. Khu vực miền Trung, Tây Nguyên và Nam Bộ có mưa giông.
Thủy đoàn I, Cục Cảnh sát Giao thông, Bộ Công an, phối hợp với các lực lượng chức năng Nam Định bắt giữ 5 tàu khai thác cát trái phép tại ven biển thuộc huyện Giao Thủy, thu giữ số lượng lớn cát.
Trong tháng 9 vừa qua tổng lượng khách quốc tế đến Việt Nam đạt 1,27 triệu lượt, giảm gần 12% so với tháng 8. Nhiều chuyên gia chỉ ra nguyên nhân của sự sụt giảm này.
Dự báo thời tiết 7/10, Hà Nội sáng sớm có nơi có sương mù, ngày nắng, sáng sớm và đêm trời lạnh. TP.HCM có mây, có mưa rào và giông, nhiệt độ cao nhất 33 độ.
Dự báo thời tiết 5/10, khu vực Bắc Bộ và Thanh Hóa duy trì hình thái ngày nắng, đêm lạnh. Khu vực từ Đà Nẵng - Bình Thuận vào Tây Nguyên, Nam Bộ có mưa giông, cục bộ có nơi mưa to.
Lợi dụng chức năng, nhiệm vụ trong quá trình thực hiện đăng kiểm tàu cá, các đăng kiểm viên thuộc Chi cục Thủy sản Thừa Thiên - Huế có hành vi nhận hối lộ để hợp thức hóa hồ sơ cải hoán tàu cá.
Do tác động của bão, trong ngày 3/10, vùng biển phía Đông Bắc khu vực Bắc Biển Đông gió mạnh cấp 7-9, vùng gần tâm bão cấp 10-12, giật cấp 15, sóng biển cao 5-7m, biển động dữ dội.
La Nina xuất hiện trong tháng 10. Mùa mưa năm 2024 ở TP.HCM khả năng kết thúc muộn hơn. Đặc biệt, tháng 11-12, không khí lạnh khuyếch tán mạnh về phía nam và có đợt giảm nhiệt dưới 20 độ.
OceanGate thu 250.000 USD cho mỗi chuyến lặn tham quan xác tàu Titanic, nhưng thiếu chứng nhận an toàn. Hành khách có lẽ không nhận thức được cái chết đã cận kề.
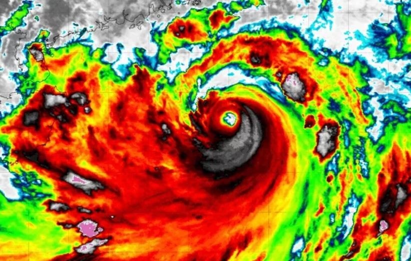
Sáng sớm nay (1/10), bão Krathon đã đi vào vùng biển phía Đông Bắc của khu vực Bắc Biển Đông, trở thành cơn bão số 5 trong năm 2024.
Dự báo thời tiết 1/10, bão Krathon có khả năng đi vào vùng biển phía Đông Bắc khu vực Bắc Biển Đông. Trên đất liền, đợt không khí lạnh tràn về.
Bão Krathon là cơn bão mạnh, hướng về phía Nam đảo Đài Loan (Trung Quốc). Tuy nhiên, rãnh áp thấp nối với cơn bão này khiến phía Đông khu vực Bắc Biển Đông mưa rào và giông mạnh.
Nhiều chủ tàu du lịch ở Hạ Long (Quảng Ninh) đang gặp khó về việc không thuê được đơn vị trục vớt, những chiếc tàu du lịch càng để ngâm dưới nước biển lâu ngày càng hỏng hóc nhiều hơn.
Cuộc tấn công vào các lực lượng ủy nhiệm do Iran hậu thuẫn của Israel đang mở rộng với các đợt không kích vào cơ sở nhiên liệu và nhà máy điện ở Hodeidah và Ras Issa tại Yemen.