Bạn có thể chuyển sang phiên bản mobile rút gọn của Tri thức trực tuyến nếu mạng chậm. Đóng

Znews

  • Tất cả
  • Bài viết
  • Video

Chuyên mục:

Thời gian:

710 kết quả phù hợp

trung tâm dự báo khí tượng và thủy văn trung ương

Mien Bac giam 10 do C, nang nong cham dut hinh anh

Miền Bắc giảm 10 độ C, nắng nóng chấm dứt

0

Đợt không khí lạnh cuối mùa đưa miền Bắc trở lại những ngày mưa lạnh giữa lúc thời tiết đang nắng nóng. Cảnh báo tố lốc, mưa đá cũng được cơ quan khí tượng đưa ra.

Mien Bac xuong 16 do C, mua tren dien rong hinh anh

Miền Bắc xuống 16 độ C, mưa trên diện rộng

0

Đợt không khí lạnh tăng cường khiến nhiệt độ Hà Nội và các tỉnh miền Bắc sụt giảm xuống ngưỡng rét. Mưa rào và dông cũng xuất hiện trên diện rộng dịp cuối tuần.

Mien Trung nong tren 39 do C hinh anh

Miền Trung nóng trên 39 độ C

0

Hàng loạt địa phương ở Nghệ An, Hà Tĩnh ghi nhận nhiệt độ trên 39 độ C trong ngày 3/4. Dự báo, nắng nóng còn tiếp diễn và mở rộng vùng ảnh hưởng.

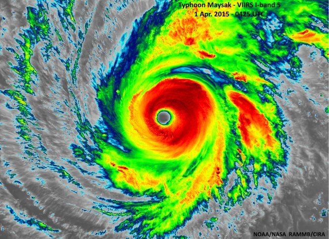
Bao cap 13 huong vao Bien Dong hinh anh

Bão cấp 13 hướng vào Biển Đông

0

Bão Maysak có sức gió cấp 13 đang tiến vào phía bắc Biển Đông và nhiều khả năng trở thành cơn bão đầu tiên trong năm 2015.

Ngay 3/4, nang nong tren 39 do C hinh anh

Ngày 3/4, nắng nóng trên 39 độ C

0

Ngày mai, 3/4, nắng nóng diện rộng tiếp tục xảy ra ở các tỉnh phía Tây Bắc Bộ, khu vực Bắc và Trung Trung Bộ với nền nhiệt độ cao nhất phổ biến 35-38 độ C, có nơi trên 39 độ C.

Nam Bo nang nong 37 do C suot tuan hinh anh

Nam Bộ nắng nóng 37 độ C suốt tuần

0

Đầu tuần, Bắc Bộ và Trung Bộ sẽ ngớt mưa, trời hửng nắng. Nam Bộ tiếp tục nắng nóng gay gắt kéo dài với mức nhiệt cao, độ ẩm thấp.

Bac Bo mua lanh keo dai het tuan hinh anh

Bắc Bộ mưa lạnh kéo dài hết tuần

0

Các đợt không khí lạnh liên tiếp tăng cường khiến Bắc Bộ mưa rét kéo dài đến cuối tuần. Trong khi đó, Trung Bộ mưa lớn diện rộng.

Mien Bac giam 5 do C, troi tro ret hinh anh

Miền Bắc giảm 5 độ C, trời trở rét

0

Đêm 23/3, không khí lạnh bắt đầu ảnh hưởng tới miền Bắc. Từ ngày mai, nhiệt độ toàn miền giảm 3-5 độ C, trời trở rét.

Dem mai, Bac Bo lai don gio mua hinh anh

Đêm mai, Bắc Bộ lại đón gió mùa

0

Nắng nóng ở Bắc Bộ sẽ kết thúc trong hôm nay. Từ đêm mai (20/3), do ảnh hưởng của không khí lạnh tăng cường, khu vực này sẽ chuyển lạnh.

Bac Bo cuoi tuan hung nang hinh anh

Bắc Bộ cuối tuần hửng nắng

0

Sau nhiều ngày mưa rét, nồm ẩm, khu vực Đông Bắc Bộ trời sẽ giảm mưa, hửng nắng vào cuối tuần.

Cuoc song xao tron trong tiet troi nom am hinh anh

Cuộc sống xáo trộn trong tiết trời nồm ẩm

0

Ra đường gặp mưa gió, đường trơn, về nhà quần áo phơi vài ngày chưa khô … cuộc sống của người dân thủ đô đang bị ảnh hưởng vì thời tiết ẩm ướt kéo dài nhiều ngày qua.

Thoi tiet trong 10 ngay dau nam moi nhu the nao? hinh anh

Thời tiết trong 10 ngày đầu năm mới như thế nào?

0

Theo dự báo, 10 ngày đầu năm mới, thời tiết ở các tỉnh phía Bắc thời tiết tại các tỉnh Bắc Bộ ít có sự biến động, Trung bộ mưa ít còn các tỉnh Tây Nguyên và Nam Bộ trời nắng.

Mua ret trong ngay Valentine hinh anh

Mưa rét trong ngày Valentine

0

Vào ngày lễ Valentine 14/2, Bắc Bộ mưa rét trong khi TP HCM se lạnh vào sáng sớm và đêm.

Giap Tet At Mui, Bac Bo se am dan len hinh anh

Giáp Tết Ất Mùi, Bắc Bộ sẽ ấm dần lên

0

Trung tâm dự báo Khí tượng Thủy văn Trung ương nhận định, xu thế chung trong 20 ngày cuối tháng Hai này, nền nhiệt độ ở Bắc Bộ có xu hướng cao hơn 10 ngày đầu tháng.

Xem thêm