Bánh mì Việt Nam lại lọt top ngon nhất thế giới
Bánh mì Việt Nam được kênh CNN xếp vào danh sách 25 loại sandwich ngon nhất thế giới, bên cạnh những cái tên nổi bật đến từ Pháp, Mỹ, Nhật, Mexico và nhiều quốc gia khác.
39 kết quả phù hợp
Bánh mì Việt Nam được kênh CNN xếp vào danh sách 25 loại sandwich ngon nhất thế giới, bên cạnh những cái tên nổi bật đến từ Pháp, Mỹ, Nhật, Mexico và nhiều quốc gia khác.
Việt Nam hoan nghênh việc Chính phủ Mỹ vừa qua đã quyết định đưa Cuba ra khỏi “danh sách các quốc gia được cho là tài trợ khủng bố” của Bộ Ngoại giao Mỹ.
Tổng Bí thư, Chủ tịch nước Tô Lâm cùng với Bí thư Thứ nhất, Chủ tịch nước Cuba Miguel Diaz Canel Bermudez đã có cuộc gặp gỡ thân mật với các đại biểu hữu nghị và thế hệ trẻ Cuba.
Cùng với Quốc tang tại Việt Nam, lễ viếng và mở sổ tang Tổng Bí thư Nguyễn Phú Trọng được tổ chức trọng thể tại nhiều quốc gia trên thế giới
Đại sứ quán Mỹ tại Cuba bắt đầu mở lại các dịch vụ thị thực và lãnh sự kể từ ngày 4/1, lần đầu tiên kể từ năm 2017.
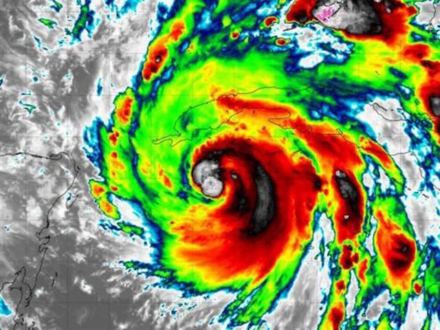
Trong khi châu Á đối phó với bão Noru, người dân Mỹ và các đảo quốc vùng Caribe cũng đang gia cố nhà cửa và tích trữ nhu yếu phẩm trước khi bão Ian quét qua.
Trong chuyến thăm Cuba và dự Phiên thảo luận chung cấp cao Đại hội đồng Liên Hợp Quốc khóa 76 tại Mỹ, Chủ tịch nước đã gặp gỡ hàng chục nhà lãnh đạo, có nhiều phát biểu quan trọng.
Người phát ngôn Bộ Ngoại giao khẳng định Việt Nam sẽ hỗ trợ Cuba vượt qua giai đoạn khó khăn, đồng thời kêu gọi Mỹ chấm dứt chính sách bao vây cấm vận Cuba trong gần 60 năm qua.
Tổng thống Trump ngày 23/9 thông báo lệnh cấm công dân mang rượu rum, xì gà từ Cuba vào Mỹ.
Tham gia lễ hội này, mỗi người đàn ông sẽ cắm một cái sừng trên đầu, tượng trưng cho việc mình bị lừa dối.
Hơn 5.000 suất du lịch trọn gói giảm tới 30%, ưu đãi cho khách hàng đăng ký tour trực tiếp… là những hoạt động hấp dẫn trong ngày hội tư vấn du lịch Vietravel’s Day (7-11/11).
Ngày nghỉ dài dịp Tết tạo đà cho nhu cầu du lịch, vui chơi của các gia đình. Nắm bắt điều này, Vietravel triển khai nhiều chương trình ưu đãi du lịch Tết.
Ông Raul Castro sẽ rời khỏi cương vị chủ tịch Cuba ngày 19/4, chấm dứt gần 6 thập kỷ hai anh em lãnh tụ Fidel - Raul Castro nắm quyền lãnh đạo quốc gia này.
Tặng voucher, thêm nhiều chùm tour mới và hàng loạt ưu đãi cho dịch vụ đặt phòng khách sạn… là những chương trình khuyến mãi hấp dẫn của Vietravel Hà Nội trong mùa du lịch năm nay.
Thế giới âm nhạc thời gian qua chứng kiến sự bứt phá của hàng loạt ngôi sao nữ 9X tài năng, quyến rũ, hứa hẹn sẽ trở thành những Beyoncé hay Taylor Swift mới.
Tổng thống Trump sẽ thắt chặt các quy định đối với việc đi lại của công dân Mỹ tới Cuba và hạn chế đáng kể công ty Mỹ giao thương với các doanh nghiệp Cuba do quân đội kiểm soát.
Hội chợ du lịch VITM với nhiều hoạt động du lịch hấp dẫn, tour tuyến đa dạng sẽ là điểm đến được nhiều gia đình lựa chọn trong dịp giỗ Tổ để tranh thủ mua tour du lịch hè, lễ 30/4.
Ngoài việc là một trong những lãnh đạo ảnh hưởng nhất thế kỷ 20, cựu lãnh tụ Cuba Fidel Castro còn là một người đọc uyên thâm và có quan hệ với nhiều văn hào của thế giới.
Mỹ gây căng thẳng khi Liên Xô triển khai tên lửa đạn đạo SS-4 ở Cuba vào năm 1962 khiến thế giới đối mặt với cuộc khủng hoảng nghiêm trọng nhất những năm Chiến tranh Lạnh.
Việc đánh bại âm mưu đảo chính lật đổ chính quyền Cuba trong sự kiện Vịnh Con Lợn đã củng cố và khẳng định tài lãnh đạo tài tình của cố Chủ tịch Fidel Castro.