Bạn có thể chuyển sang phiên bản mobile rút gọn của Tri thức trực tuyến nếu mạng chậm. Đóng

Sinh viên tại Đà Nẵng lo lắng tìm nơi trốn siêu bão Haiyan

Để tránh siêu bão Haiyan (Hải Yến) – siêu bão mạnh nhất trong lịch sử thế giới có khả năng ảnh hưởng lớn tới miền Trung, đêm qua, nhiều sinh viên sống xa nhà đã cập rập chuẩn bị về quê.

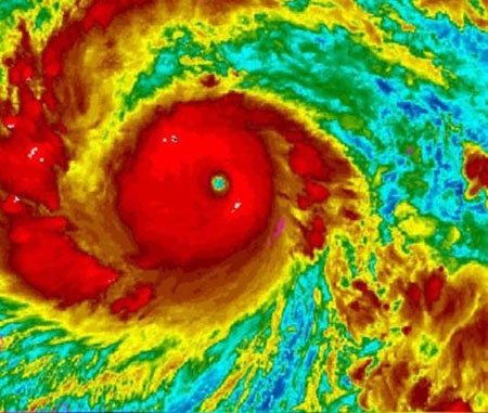
Bão Haiyan được cho là cơn bão mạnh nhất trong lịch sử thế giới, theo dự báo sẽ càn quét cơ sở hạ tầng, nhà cửa, công trình công cộng…

Thông tin từ các cơ quan khí tượng cho thấy cơn bão này đang tiến vào vùng biển miền Trung. Đà Nẵng, Huế... có thể là nơi sẽ chịu ảnh hưởng nặng nề nhất của cơn bão này. Tại Đà Nẵng, từ chiều 8/11 nhiều công điện khẩn đã thông báo về việc cho học sinh sinh viên nghỉ học từ ngày 9/11 để đảm bảo cho tính mạng cho học sinh sinh viên.

Haiyan là cơn bão lớn nhất trong lịch sử.

Được biết, ở Đà Nẵng, nhiều trường đại học bố trí cho sinh viên ngoại tỉnh tá túc ở kí túc xá – nơi kiên cố để sinh viên sống xa nhà được an toàn. Dù vậy, trong đêm qua, trước thông tin dồn dập về sức tàn phá của cơn bão này, nhiều bạn trẻ vẫn bất an và nghĩ cách tránh bão.

Trong đó, không ít sinh viên quyết định về quê. Hải Triều (năm 1, ĐH Duy Tân) cho hay: “Đây là năm đầu tiên mình đi học xa nhà. Từ buổi tối xem tin thời sự mình đã rất lo lắng, và mình cũng rất lo cho gia đình. Để đảm bảo an toàn, sáng 9/11 mình sẽ về quê”.

Bão Haiyan tàn phá Philippines. Ảnh Reuters.

Bạn Nhất Vinh (cũng sinh viên năm nhất tại ĐH Duy Tân) bộc bạch: “Mình đã về quê từ sau giờ học chiều qua để kịp tránh bão cùng gia đình”. Quê Vinh ở Quảng Nam, nơi bão có thể ảnh hưởng rất mạnh, đây cũng là vùng năm nào cũng chịu thiệt hại nặng nề vì bão nên lúc này Vinh không thể yên tâm ở lại Đà Nẵng.

Khánh Linh (năm nhất ĐH Duy Tân), quê ở Quảng Bình sau buổi tối khá hoang mang cũng quyết định trưa nay sẽ về nhà. Linh và chị gái đợt vừa qua đã sống trong tâm trạng thấp thỏm khi bão đổ bộ, làm mất điện tại Đà Nẵng. Vì vậy, lần này trước sức tàn phá có thể rất khốc liệt của bão Haiyan, chị em Linh kiên quyết về quê. 

"Có thể bão sẽ ảnh hưởng đến Quảng Bình nhưng lúc đó chị em mình đã ở bên ba mẹ. Mọi người đều yên tâm hơn. Nếu ở lại Đà Nẵng, mình sẽ rất lo cho ở nhà, trong khi ba mẹ cũng , Linh chia sẻ.

Giới trẻ tại Đà Nẵng với những dòng trạng thái lo lắng về siêu bão.

Trong khi đó, trên mạng xã hội nhiều dòng chia sẻ của hầu hết các sinh viên xa nhà, nhất là sinh viên năm nhất, hoang mang và lo lắng cho gia đình, người thân và bạn bè khi bão Haiyan đi qua. Nhiều bạn trẻ cũng bày tỏ sự cầu nguyện rằng cơn bão sẽ nhanh suy yếu hoặc ngược hướng đến đâu đó để người dân Việt không phải hứng chịu.

Khánh Linh

Bạn có thể quan tâm