Xuất hiện hố tử thần sâu 50 m ở Thái Lan, 3.500 bệnh nhân sơ tán
Hơn 3.500 bệnh nhân ở thủ đô Bangkok phải sơ tán khẩn cấp sáng 24/9 sau khi đoạn đường trước Bệnh viện Vajira bất ngờ sụt lún, tạo hố tử thần sâu 50 m.
2.685 kết quả phù hợp
Hơn 3.500 bệnh nhân ở thủ đô Bangkok phải sơ tán khẩn cấp sáng 24/9 sau khi đoạn đường trước Bệnh viện Vajira bất ngờ sụt lún, tạo hố tử thần sâu 50 m.
Khi Julian Alvarez đánh mất sự tự tin, cả cấu trúc tấn công của Atletico Madrid cũng rệu rã theo, biến tham vọng vô địch thành giấc mơ xa vời.
Ông Hoe (SN 1946, trú thôn Phú Thiện, xã Phù Mỹ Tây, tỉnh Gia Lai) bị khởi tố về tội "Giết người" vì đã tự ý mắc điện trên ruộng lúa để bẫy chuột, dẫn đến hậu quả 2 người tử vong.
Trước diễn biến phức tạp của siêu bão Ragasa, được đánh giá mạnh nhất trong lịch sử bão trên Biển Đông, Hải Phòng và Hưng Yên vừa ban hành văn bản chỉ đạo ứng phó.
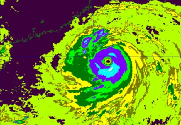
Siêu bão Ragasa trên Biển Đông có dấu hiệu suy yếu khi tiến gần bán đảo Lôi Châu (Trung Quốc), dự báo ảnh hưởng mạnh đến Quảng Ninh - Hải Phòng từ ngày 25/9.
Mang theo sức gió duy trì ở mức 215 km/giờ và gió giật lên tới 295 km/giờ, siêu bão Ragasa (bão số 9) đã đổ bộ vào đảo Calayan thuộc tỉnh Cagayan của Philippines.
Người dân trên đảo Babuyan (tỉnh Cagayan, Philippines) - nơi siêu bão Ragasa đổ bộ hôm nay - đã trải qua hiện tượng hiếm gặp được gọi là “hiệu ứng sân vận động”.
Dự báo siêu bão Ragasa sẽ đổ vào Biển Đông sau 22 giờ ngày 22/9 và được nhận định là cơn bão lớn nhất thế giới xảy ra từ đầu năm 2025 đến nay.
Chiếc taxi công nghệ do tài xế T.Q.M điều khiển đi qua cầu Lộc Lâm thì bất ngờ bị dòng nước chảy xiết cuốn trôi xuống suối, rất may tài xế kịp bám vào bụi cây gần đó.
Siêu bão Ragasa với sức gió giật trên cấp 17 đang tiến vào Biển Đông. Ngành du lịch được chỉ đạo triển khai kịch bản ứng phó cao nhất, hạn chế rủi ro cho khách du lịch.
Thủ tướng Chính phủ chỉ đạo các địa phương, bộ ngành sẵn sàng triển khai ngay biện pháp ứng phó với siêu bão Ragasa với tinh thần quyết liệt nhất.
Từ sáng đến chiều nay (20/9), bão Ragasa mạnh thêm hai cấp, đến tối nay bão đã mạnh cấp 13, giật cấp 16 và còn tiếp tục mạnh thêm.
Cơ quan khí tượng nhận định, bão Ragasa có thể mạnh cấp siêu bão, giật trên cấp 17 và đang tiến vào Biển Đông, từ ngày 23/9 gây biển động dữ dội, sóng cao trên 10m.
Sáng nay (19/9), bão Ragasa đang hoạt động ở vùng biển phía đông Philippines. Dự báo bão vào Biển Đông khoảng ngày 23/9, có thể mạnh lên thành siêu bão trên Biển Đông.
Trong bối cảnh cuộc xung đột tại Dải Gaza ngày càng leo thang, cộng đồng quốc tế tiếp tục bày tỏ quan ngại sâu sắc, đồng thời có những hành động cụ thể nhằm hỗ trợ nhân đạo và thúc đẩy hòa bình.
Sau gần 9 tháng đi vào vận hành, mặt đường hầm chui Nguyễn Văn Linh đã bắt đầu xuống cấp, xuất hiện nhiều ổ voi, ổ gà, tiềm ẩn nguy cơ tai nạn cho người tham gia giao thông.
Một trận mưa lớn ập xuống chiều 15/9 đã biến suối Gia Chiêu ở xã Lâm Sơn (tỉnh Khánh Hòa) thành dòng lũ ống cuồn cuộn, tàn phá nhiều diện tích hoa màu.
Loài khủng long cổ đại từng sống ở khu vực nay là Brazil từng phải đối mặt với căn bệnh gây tử vong hàng loạt.
Romania cho biết một thiết bị bay không người lái (UAV) đã xâm phạm không phận trong lúc Liên bang Nga tấn công Ukraine.
Tòa án Tối cao Brazil đã kết án cựu Tổng thống Jair Bolsonaro 27 năm 3 tháng tù giam với cáo buộc âm mưu đảo chính nhằm lật ngược kết quả bầu cử năm 2022.